INTERNACIONALES
Cuba se prepara para afrontar el huracán Melissa de categoría 5
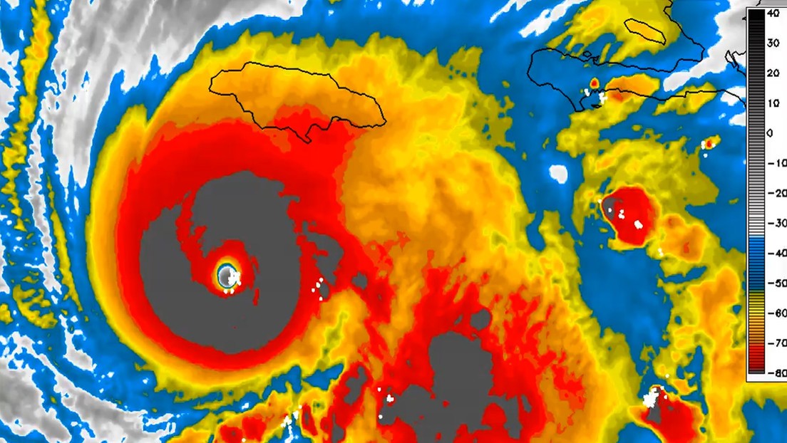
El presidente de Cuba, Miguel Díaz-Canel, encabezó este lunes el Consejo de Defensa Nacional ampliado como parte de las medidas adoptadas por el inminente paso por la isla del huracán Melissa, que ya alcanzó la categoría 5.
«Este es un huracán mucho más fuerte que los demás que en los últimos años azotaron la zona oriental, como Dennis, Sandy o Matthew», aseguró el director general del Instituto de Meteorología, Celso Pazos Alberdi.
Los pronósticos en el país caribeño apuntan a su llegada por la región sur oriental, entre Granma, Santiago de Cuba y Guantánamo, probablemente entre la noche del martes y la madrugada del miércoles.
Ante su cercanía, la Unión Eléctrica de Cuba decidió «priorizar» el suministro de energía en la región oriental para «poder asegurar una mejor preparación de la población para enfrentar el evento meteorológico».
Y desde este lunes estará activa la Red de Emergencia Nacional de la Federación de Radioaficionados, como parte de las «acciones para proteger la infraestructura» y así garantizar la comunicación en el oriente, informó el órgano oficial del Comité Central del Partido Comunista de Cuba, el diario Granma.
Lee también: Reconocen oficialmente la diabetes tipo 5, una enfermedad vinculada a la malnutrición infantil
Asimismo, el Ministerio de la Industria Alimentaria desplegó su Plan de Contingencia 2025 para «proteger la producción de alimentos y mitigar el impacto en el sector».
Con vientos máximos detectados de 260 kilómetros por hora, el huracán Melissa provocó una alarma ciclónica en las provincias de Guantánamo, Santiago de Cuba, Holguín, Granma, Las Tunas y Camagüey. Mientras que en Ciego de Ávila y Sancti Spíritus hay alerta ciclónica.
Fuente: RT
Sigue las noticias de Falcón, Venezuela y el Mundo en www.notifalcon.com síguenos en Instagram y X @notifalcon y en Facebook: https://www.facebook.com/diarionotifalcon2/
